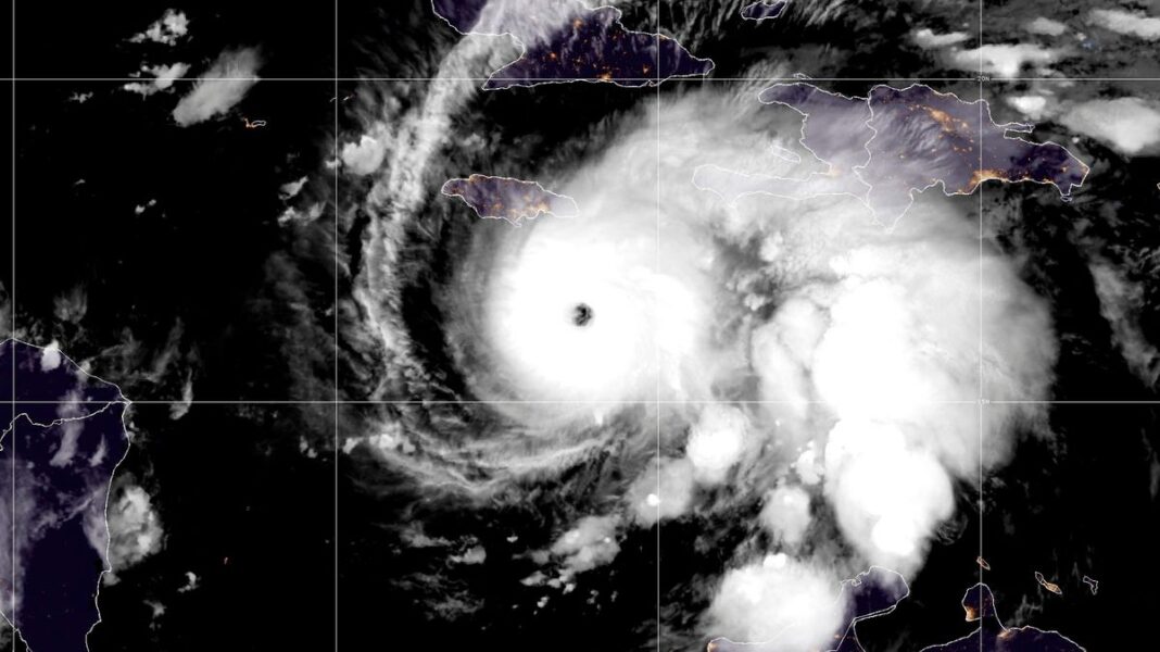
A dangerous hurricane approaching Jamaica and Cuba has strengthened and is expected to reach Category 5, the highest level, before hitting land either tonight or early Tuesday, according to meteorologists. The US National Hurricane Center (NHC) forecasts that Hurricane Melissa will bring severe flooding, landslides, and storm surges to the area. Jamaican officials have advised residents to evacuate to the 900 shelters set up across the island.
Prime Minister Andrew Holness has issued mandatory evacuation orders for Port Royal in Kingston and six other regions. Hurricane Melissa currently has maximum sustained winds of 140mph (220kph) and is projected to intensify as it nears Jamaica.
Desmond McKenzie, the Minister of Local Government, expressed concerns about the flooding, stating that many communities in Kingston are at risk due to the low-lying nature of the area. Both international airports have been closed as a precaution.
The slow-moving storm has already caused casualties in Haiti and the Dominican Republic, with reports of fatalities and missing individuals. The NHC has warned of significant rainfall amounts ranging from 15 to 30 inches in Jamaica and southern Hispaniola, with localized totals potentially exceeding 40 inches.
Eastern Cuba is expected to receive between 10 to 15 inches of rain, with some areas possibly experiencing up to 20 inches. Authorities are anticipating widespread damage to infrastructure, power disruptions, communication outages, and isolation of communities in Jamaica.
Jamaica’s Information Minister, Dana Morris Dixon, mentioned that the Caribbean Disaster Emergency Management Agency is ready to provide assistance, with international partners offering their support. She emphasized the unprecedented rainfall projections and the potential for catastrophic impacts.
Alex DaSilva, AccuWeather’s lead hurricane expert, highlighted the need for Haiti, the Dominican Republic, Cuba, and Jamaica to prepare for torrential rainfall, flash flooding, power outages, and road closures due to the imminent threat posed by Hurricane Melissa.
This website uses cookies and other identifiers to enhance user experience, analyze site usage, and display personalized ads. You can manage your data sharing preferences by clicking the appropriate button on the webpage. Your use of our site signifies acceptance of cookie usage and agreement to our Privacy Notice and Terms and Conditions.
